Büchenbeuren
Ortsgemeinde Büchenbeuren
Büchenbeuren ist eine anerkannte Fremdenverkehrsgemeinde.
1301 wurde das Dorf in einer Urkunde des Grafen Eberhard von Sponheim erstmals erwähnt.
Die im Zentrum gelegene eindrucksvolle Evangelische Kirche wurde 1838 - 1840 im Stile Schinkels erbaut. Das Orgelprospekt wurde von der berühmten Orgelbauerfamilie Stumm aus Sulzbach gestaltet. Die Glocke stammt aus dem 13. Jahrhundert und ist mit frühgotischer Umschrift und Verzierungen versehen.
In der ehemaligen Volksschule, Hauptstraße 73-75, hängen zwei Wandgemälde des bedeutenden Hunsrückmalers Friedrich Karl Ströher, Irmenach (*3.9.1876, + 14.12.1925).
Im Jahr 1970 wurde die damalige Verbandsgemeinde Büchenbeuren in einer Verwaltungsreform mit den Ämtern Gemünden und Kirchberg zur Verbandsgemeinde Kirchberg zusammengefasst. Das Verwaltungsgebäude, das sog. "Alte Amt" schmückt das Ortsbild allerdings noch heute.
Weitere Informationen: Statistisches Landesamt Rheinland-Pfalz
Wappenbeschreibung und -begründung
Das Wappen ist schrägrechts geteilt.
Es zeigt im rechten Feld ein goldblaues Schach und im linken Feld in Grün zwei goldene Buchenblätter am goldenen Ast.
Das Schach im rechten Feld bezieht sich auf die frühere Zugehörigkeit der Gemeinde zur ehemaligen vorderen Grafschaft Sponheim. Die Farben des Schachs sind allerdings auf Anregung des Staatarchivs vertauscht, um zu vemeiden, dass Farbe an Farbe stößt. Die Buchenblätter im linken Feld deuten auf die Silbe "Büchen" (abgeleitet von "Buchen") im Ortsnamen.
Hinweis:
Die auf der Homepage verwendete Wappenbeschreibung ist die offiziell genehmigte des Ministerium des Innern (Rheinland-Pfalz) vom 28.01.1965.
Die Beschreibung ist hier aus der Sicht des Ritters, also des Wappenträgers, erstellt.
Grund für die "vertauschten" Seiten bei der Wappenbeschreibung ist also der Betrachtungswinkel.Sitzungsniederschriften
Satzungen der Ortsgemeinde
Bebauungspläne
Nachfolgend sind die Bebauungspläne und städtebaulichen Satzungen veröffentlicht. Soweit sie noch nicht rechtswirksam sind, sind sie als Entwurfsfassungen gekennzeichnet. Teilweise sind die Plan-
unterlagen einschließlich Änderungen als Kopiervorlagen zusammengefasst; die Originalunterlagen können Sie gerne in den Büroräumen der Verwaltung einsehen.Anhand der Übersichtskarte soll ein Überblick ermöglicht werden, welche Planungen maßgebend und unter welcher Bezeichnung sie nachfolgend zu finden sind.
Die Gemeinde hat die Planungshoheit für Bebauungspläne mit der Festsetzung von Gewerbe, Industrie- und Sondergebieten auf den Zweckverband Gemeinden Flughafen Hahn übertragen. Die Planunterlagen für diese Bebauungspläne finden Sie hier.
Folgende Ansprechpartner stehen Ihnen bei weitergehenden Fragen gerne zur Verfügung:
im Zusammenhang mit Bauvorhaben
(Bauvoranfragen, -anträge, Freistellungsverfahren)Suchergebnisse werden geladenKeine Mitarbeitende gefunden.zu Verfahren von Bebauungsplänen
Suchergebnisse werden geladenKeine Mitarbeitende gefunden.Gesamtübersicht
An der Sohrener Straße Entwurf
Bei der nachfolgenden Datei handelt es sich um eine Entwurfsfassung, d.h. das Bebauungsplanverfahren ist noch nicht abgeschlossen und die Planunterlagen sind noch nicht wirksam. Über den
aktuellen Stand des Verfahrens können Sie sich gerne bei folgendem Ansprechpartner erkundigen:Suchergebnisse werden geladenKeine Mitarbeitende gefunden.Auf dem Erdbüchelchen
Auf der Taubenacht
Bahnhofstraße / Kirchstraße / Friedhof
- Ursprungsfassung:
- 1. Änderung: Entwurf
Die Ortsgemeinde hat den Aufstellungsbeschluss gefasst, den Bebauungsplan "Bahnhofstraße - Kirchstraße - Friedhof" zu ändern, insbesondere um mehrere Maßnahmen im Rahmen der Entwicklung aus dem Dorferneuerungskonzept umsetzen zu können. Die Planung soll grundsätzlich den gesamten Geltungsbereich des Bebauungsplanes erfassen, wegen des Gesamtumfangs sind konkrete Ergebnisse für einen Planentwurf noch in Bearbeitung.
Über den aktuellen Stand des Verfahrens können Sie sich gerne bei folgendem Ansprechpartner erkundigen:Suchergebnisse werden geladenKeine Mitarbeitende gefunden.- 2. Änderung: Entwurf
Im Rahmen einer 2. Änderung wurde für eine kleine Teilfläche eine Anpassung vorgenommen, um auf dem Grundstück des Gemeindebüros die Voraussetzungen zu schaffen, eine Paket-Packstation aufstellen zu können. Für diese Änderung wurden zwischenzeitlich die Beteiligungsverfahren durchgeführt und anschließend der Satzungsbeschluss gefasst. Damit liegt die sogenannte Planreife nach § 33 Absatz 1 Ziffer 1 BauGB vor, d.h. es besteht Baurecht für die Teilfläche auf der Grundlage der neuen Festsetzungen. Für die Inkraftsetzung sind noch die Planunterlagen der Schlussfassung herzustellen und es ist die öffentliche Bekanntmachung durchzuführen.
Bis zur anschließenden Rechtswirksamkeit der Bebauungsplanänderung werden nachfolgend noch die bisherigen Entwurfsunterlagen veröffentlicht.
Soweit Sie weitere Informationen zum aktuellen Stand des Verfahrens wünschen, können Sie sich gerne bei folgendem Ansprechpartner erkundigen:Suchergebnisse werden geladenKeine Mitarbeitende gefunden.Brunkenstein
Büchenbeuren-Ost
Büchenbeuren Süd-Ost
- 1. Änderung - ersetzt Ursprungsfassung -
Im Umgang
In den Fichten
Ortseingang Hauptstraße / Liebigstraße
Ortsmittelpunkt
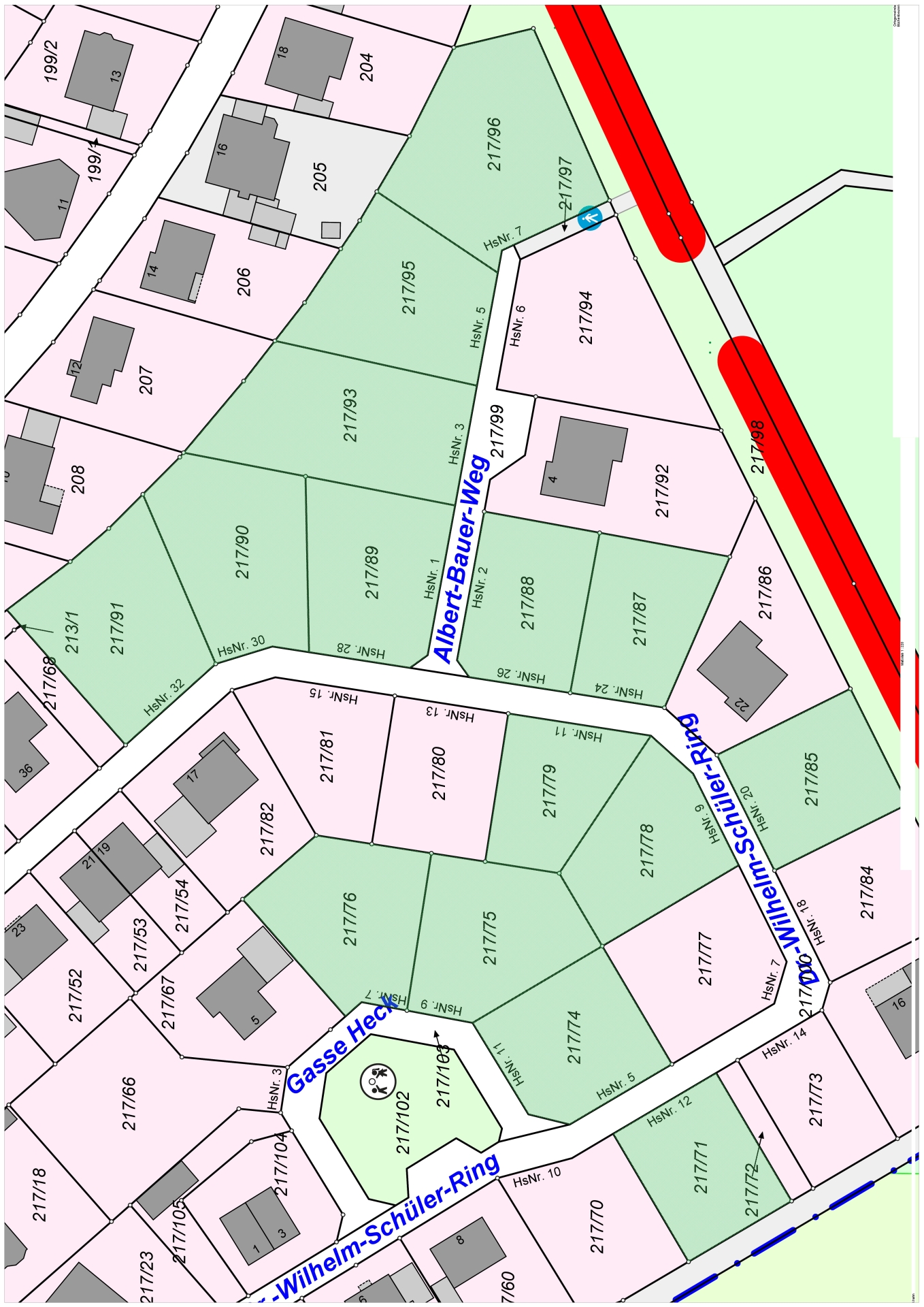
Baugrundstücke
Hier haben Sie die Möglichkeit, in landschaftlich reizvoller Lage, ein schönes Stück Land für Ihr Traumhaus zu erwerben.
Wir bieten Ihnen folgende Grundstücke zum Kauf an:
lfd. Nr. Katasterbezeichnung Größe m² Preis € / m² Kaufpreis Flur Zähler Nenner inkl. Erschließung 1 6 217 71 713 95,00 € 67.750,00 € 2 6 217 75 887 95,00 € 84.265,00 € 3 6 217 76 887 95,00 € 84.265,00 € 4 6 217 78 792 95,00 € 75.240,00 € 5 6 217 79 659 95,00 € 62.605,00 € 6 6 217 96 1294 95,00 € 122.930,00 € 7 6 217 74 804 95,00 € 76.380,00 € 8 6 217 87 736 95,00 € 69.920,00 € 9 6 217 88 768 95,00 € 72.960,00 € 10 6 217 89 914 95,00 € 86.830,00 € 11 6 217 90 1.010 95,00 € 95.950,00 € 12 6 217 91 1.049 95,00 € 99.655,00 € 13 6 217 93 1.206 95,00 € 114.570,00 € 14 6 217 95 989 95,00 € 93.955,00 € 15 6 217 85 770 95,00 € 73.150,00 € 
Bei Interesse können Sie sich direkt an die Ortsgemeinde oder an einen Ansprechpartner in unserer Verwaltung wenden.
Wir beraten Sie gerne.Ihre Ansprechpersonen
Suchergebnisse werden geladenKeine Mitarbeitende gefunden.Richtlinien
- Richtlinie zur Föderung der Ansiedlung von Ärzt*innen in der Ortsgemeinde Büchenbeuren
